5290 S Rainbow Blvd #11, Las Vegas, NV 89118

702-491-0472

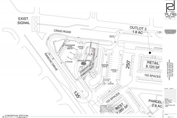
Rancho Triangle

Projects

Craig & Rancho, Las Vegas, NV

Southeast corner of Craig Road and Rancho Drive

Plan

SIGN UP FOR UPDATES